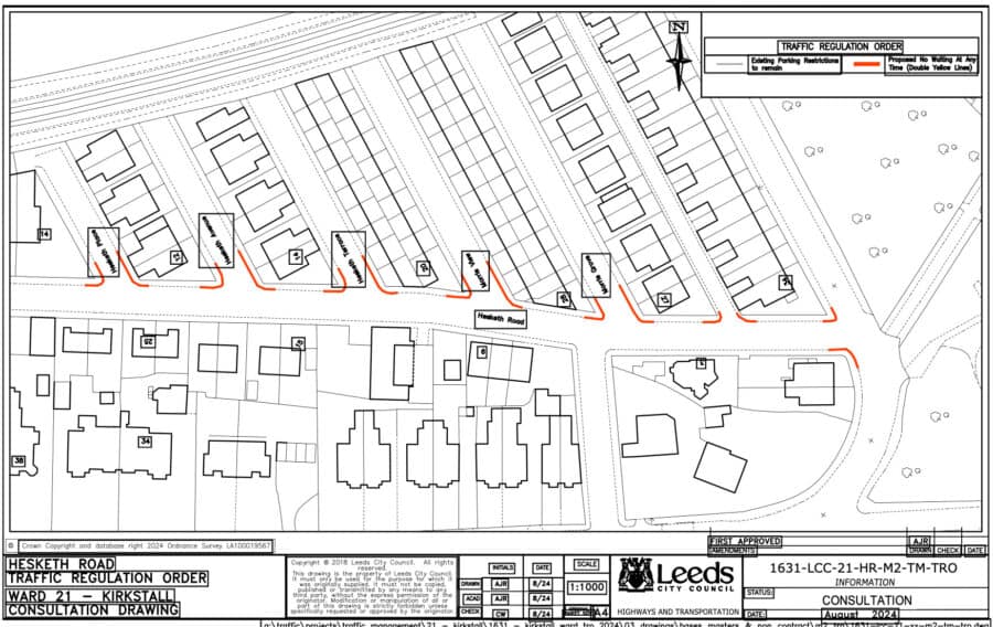
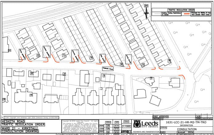
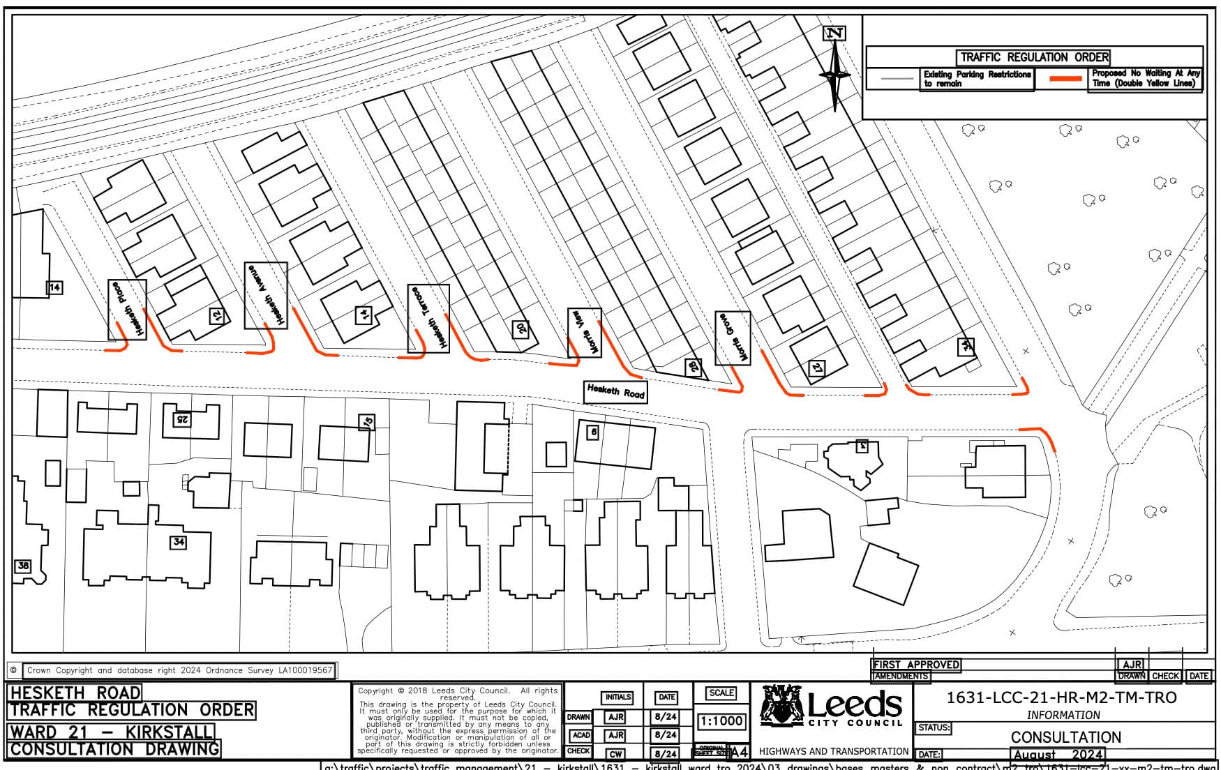
Traffic management measures in Kirkstall and Burley have been signed off, after council officers over-ruled two objections to part of the scheme.
The objections concerns that double yellow lines on Hesketh Road could displace parking to side roads, and the displacement of cars on St Ann’s Avenue.
The measures are part of a wider package of double yellow lines in both Burley and Kirkstall, first reported by WLD last September.

Council highways officers overruled concerns about Hesketh Road, saying spaces are available on neighbouring streets. A report stated: “Whilst the proposed restrictions will displace a small number of parked vehicles into the wider area, vehicles currently parked here are obstructing larger vehicles and preventing refuse collections from taking place.”

On St Ann’s Avenue, officers argued: “Site visits demonstrate that parking close to the junction of St Ann’s Avenue and Knowle Terrace/The Village Street restricts visibility, increasing the potential for collisions.
“Whilst the proposed restrictions will displace a small number of parked vehicles into the wider area, vehicles currently parking close to the junction obstruct sightlines for those exiting St Ann’s Avenue and are the minimum required to ensure adequate sightlines.”
Officers concluded: “The objections received are to two sites where No Waiting at Any Time restrictions are designed to remove indiscriminate and obstructive parking on junctions so that sightlines and access for larger vehicles, such as refuse wagons or emergency services, can be improved.
“If the restrictions are not introduced, then parking may continue to occur on the junctions and therefore larger vehicles may have issues accessing the areas where restrictions are proposed.”
The scheme will now be implemented as advertised.
- The full council report over-ruling the objections can be read here.
Sponsored content

